CityOfBoston Official An official website of the City of Boston

Channel Center

Contact

Daniel Polanco

Land Square Feet

308,898 ft2

South Boston PDA Development Plan Large Project
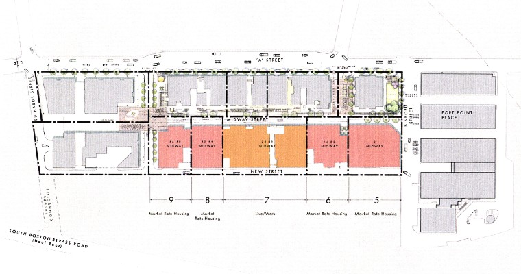
Channel Center is also known as Planned Development Area No. 53 (formerly known as the Midway Project) located in the Fort Point District of South Boston. The site is approximately 308,898 square feet and consists of 13 parcels of land. Allowed uses for the site include: residential, live/work, office, research and development, commercial, retail, service, gallery, restaurant, parking, open space areas, and related site and infrastructure improvements. In September 2022, the proponent filed a First Amendment to the Development Plan that relates solely to the Project Component 8 of the Revised Project, commonly known as 7 Channel Street specifying that no laboratory classified by the U.S. Centers for Disease Control as Biosafety Level 3 (BSL-3), Biosafety Level 4 (BSL-4), Animal Biosafety Level 3 (ABSL-3), or Animal Biosafety Level 4 (ABSL-4) shall be permitted.

STAY CONNECTED